午前の釣果
釣果情報を ご覧いただき ありがとうございます。
本日を持ちまして最終日となりました。
雨が降りそうな曇り空の平日ですが お越しの皆様 ありがとうございます。
最後は、釣れるといいいのですが、自然の海が相手なので何とも出来ません。
今日もメジナが段々と数を増やして釣れて来ました。
他の釣果ではワカシ5匹で、アオリイカが2杯と少なかったです。
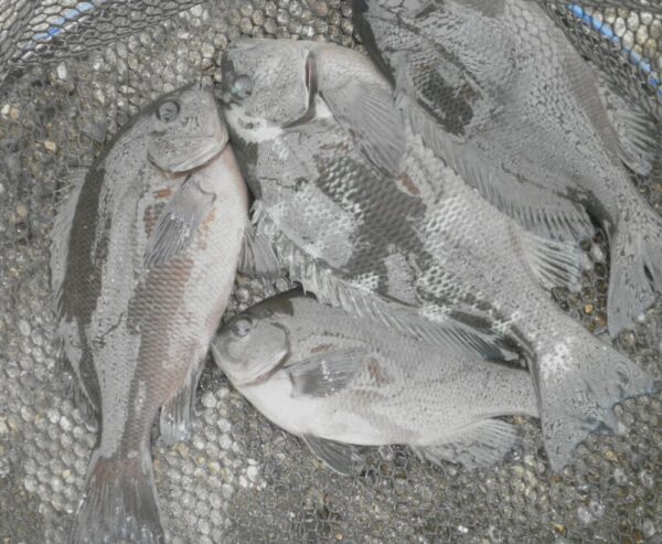
午前の釣果です。


↓アオリイカ 16~19cm 2杯 先端 エギング


↓ワカシ 27~35cm 5匹 4・6・8・20番 メタルジグ 弓ツノ






↓サバ 32~36cm 4匹 12・15・20・34番 メタルジグ フカセ 遠投サビキ





↓メジナ 20~34cm 21匹 26・28・34番 フカセ
















↓クロダイ 22~24cm 2匹 34・41番 フカセ


↓エソ 30~38㎝ 2匹 2・9番 ジグサビキ メタルジグ


↓アジ 22~39cm 6匹 3・7・6・12番 サビキ 遠投サビキ







↓ダツ 70cm 1匹 34番 フカセ

↓カワハギ 15cm 1匹 30番 フカセ

↓ボラ 39cm 1匹 30番 フカセ


今日は、雨も何とか降らずに済みそうです。
午前中よりも午後の釣果の方が良い傾向にありますので
今日が最後なので皆さん午後からも頑張りましょう!
