本日の釣果
ハッピーフィッシング東港へお越しいただき 誠にありがとうございます。
今朝は、昨日から雷注意報が継続されていて 雷雲が次々と接近して
危険な為に 7:30開放と遅くなりました。
そして8時頃に 竿からビリビリと雷が通電した為に9時まで退避してもらいました。
開放が遅れて、途中退避もあり お客様には 大変ご迷惑を お掛けしました。
朝の豪雨も あがって 天気も良くなり釣り日和となっていますので段々とお客様も
増えて来ました。
釣果は、アオリイカ11杯とワカシ16本とメジナ・クロダイ・サヨリ・アジ等が釣れています。
【本日の釣果】
❤秋晴れの晴天となりました❤


↓ アオリイカ 7~16㎝ 11杯 先端~64番 エギング
11杯は、少なかったですね(◞‸◟)








↓ ゲート付近(64番)でも2杯釣れました。

↓ ワカシ 25~33㎝ 16匹 先端~42番 メタルジグ












↓ワカシ 3匹 先端

↓サバ 31cm 1匹 8番 遠投サビキ

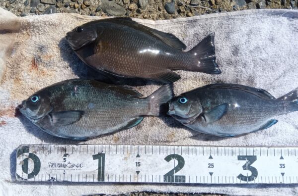
↓ メジナ 20~27㎝ 16匹 30~32番 フカセ・ダンゴ




↓カワハギ12~15㎝ 2匹も釣れていました。


↓クロダイ 18~23㎝ 11匹 31番 ダンゴ ⇅(スカリの中のクロダイ4匹も入れて)


↓サヨリ 20~27㎝ 100匹位 32番 自家製のサヨリ仕掛け


↓大きい袋なので約100匹は、入っています。(一人で午前中からの釣果です)

↓アジ 13~22㎝ 9匹 2番 遠投サビキ ★今日も2番で夕方にアジが釣れていました。


堤防の実際の水深をしばらく測っていませんでしたので、測ってみました。
※先端の右側が14.5mと一番 深かったです。参考にして下さい。
雷でスタートからつまずいてしまって 早朝の釣りが出来なかった事も
釣果に影響があったのかもしれません?
アオリイカもワカシもいつもより釣果が良くありませんでした。
明日は、天気も良くて早朝からスタート出来そうですので ご来場を
お待ちしております。
本日の入場者数:49名
ご来場 誠に ありがとうございました。

