午後の釣果
釣果情報を ご覧いただき ありがとうございます。
午後からは、雨は降らない予報ですが 北東の風が強く吹いています。
釣果の方は、今年初のイナダ40㎝ がやっと釣れました。ワカシが17本で
風が強いせいでアオリイカは底が取れなくて4杯と絶不調でした。
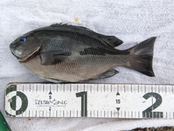
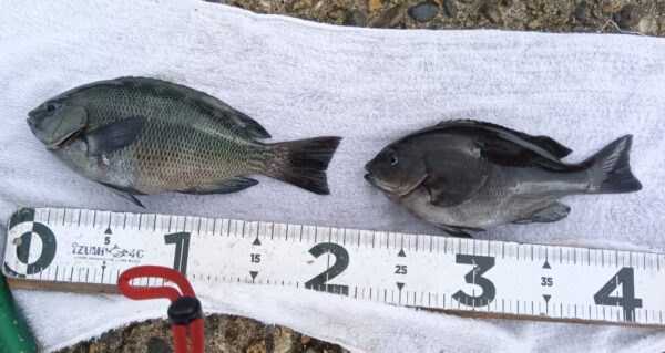
他は、メジナとカワハギ、小アジ等の釣果がありました。
【午後の釣果です】


イナダ 1匹 40㎝ 先端 メタルジグ ☆今年初です!


ワカシ 28~34㎝ 17匹 先端~12番 メタルジグ・泳がせ









アオリイカ 13~17㎝ 4杯 先端・43番 エギング


メジナ 20~30㎝ 14匹 32・34番 フカセ・ダンゴ









カワハギ 10~13㎝ 30匹 3番 サビキにジャリメを付けていました。
☆チャリコも6匹います。

小アジ 11~18㎝ 8匹 3番 遠投サビキ

待望のイナダが1本上がり、ワカシが17本も釣れましたが、アオリイカは強風で
4杯しか釣れませんでした。他はメジナとカワハギ、小アジ位でした。
これからイナダサイズが多く釣れる事を期待します。
【本日のまとめの釣果です】

明日も荒れる予報となっていますので、安全の為「終日閉鎖」とさせていただきます。
あと残り少ないのに残念ですが、ご理解の程よろしくお願いいたします。
本日の入場者数:55名
ご来場 誠にありがとうございました。
